Get new listings emailed daily! JOIN SIGN IN
Charlene O'Neal
REALTOR®, CRA, MMDC, NAR, SNP
(501) 622-7990
Refine Search

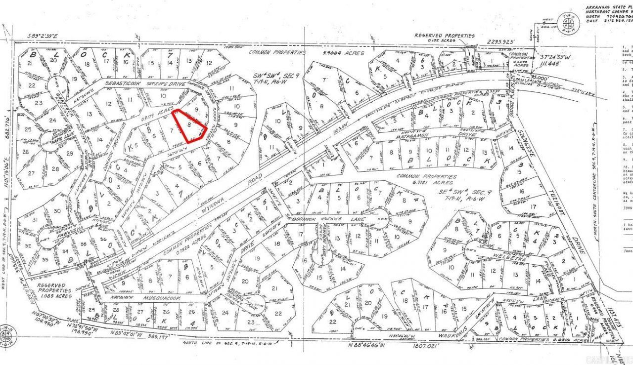
Lot 8 Sebasticook Drive, Cherokee Village, AR 72529

$600
  • Lot 8 Sebasticook Drive, Cherokee Village, AR 72529 Main Photo

6 Total Photos [Click to View All]

Price Change Price Reduced by $125 on April 15th, 2026
LOT SIZE 0.250 acres MLS#25038298
STATUSPrice Change PROPERTY TYPELand - Residential NEIGHBORHOODCHEROKEE VILLAGE

Property Description

Owner-finance for easy terms. Cash buyers can pay by debit or credit card as well. Nice lot to develop or hold for future value. Public water and electric may be available to run to property and will need septic. Owner/agent. No mobiles allowed. 1000 minimum build size on any other type of home, depending on subdivision. Finance is $100 finance fee and 4 months at $150 and closing costs are included. Buyer responsible for any/all taxes and lots sold "as-is". Quit claim deed conveys. Parcel ID# 390-20942-000

Lot 8 Sebasticook Drive | MLS# 25038298

This land located at Lot 8 Sebasticook Drive, Cherokee Village, AR 72529 is currently listed for sale with an asking price of $600. The property has approximately 0.25 Acres. Search Cherokee Village real estate on coneal.crye-leike.com today.

Property Features

Property Type: Land - Residential
Lot Size: 0.25 Acres
Taxes: $110

Feature Descriptions

Area Amenities: Swimming Pool(s), Tennis Court(s), Playground, Clubhouse, Party Room, Picnic Area, Mandatory Fee, Marina, Golf Course, Fitness/Bike Trail
Days on Site: 205
Lot descriprion: Wooded, In Subdivision, Unimproved, River/Lake Area, Common to Golf Course, Common to Lake
Lot Dimensions: 0.25 acre(s)
Road: Gravel
Wooded: Yes

Listed By / Shown By

Listed By

Agency Name: Exp Realty
Agency Phone: 866-720-5056

Shown By

Agent Name: Charlene O'Neal
Agent Phone: (501) 622-7990
Agency Title: Crye-Leike Real Estate Services

IDX logo

Source: Arkansas MLS

Estimate Your Payment

Estimated Payment

$ 10.68 per month $1.34 Principal & Interest $9.17 Property Tax $0.18 Homeowner's Insurance

Change Payment Information

%
years/fixed
yearly
yearly (est.)
(Payments are an estimate and may vary by lender)
Disclaimer: All information deemed reliable but not guaranteed. All properties are subject to prior sale, change or withdrawal. Neither listing broker(s) or information provider(s) shall be responsible for any typographical errors, misinformation, misprints and shall be held totally harmless. Listing(s) information is provided for consumers personal, non-commercial use and may not be used for any purpose other than to identify prospective properties consumers may be interested in purchasing. Information on this site was last updated 04/18/2026. The listing information on this page last changed on 04/18/2026. The data relating to real estate for sale on this website comes in part from the Internet Data Exchange program of Delta Media Group MLS (last updated Sat 04/18/2026 12:02:57 AM EST) or GAMLS (last updated Fri 04/17/2026 11:15:14 PM EST) or CARMLS (last updated Fri 04/17/2026 11:55:32 PM EST) or RCAR MLS (last updated Fri 04/17/2026 11:57:13 PM EST) or MAAR MLS (last updated Fri 04/17/2026 11:58:18 PM EST) or FMLS (last updated Fri 04/17/2026 11:43:23 PM EST) or East Tennessee REALTORS (last updated Fri 04/17/2026 11:54:49 PM EST) or RealTracs (last updated Fri 04/17/2026 11:55:36 PM EST) or Arkansas CARMLS (last updated Fri 04/17/2026 11:27:12 PM EST) or GSMAR MLS (last updated Fri 04/17/2026 9:13:54 PM EST) or Baldwin County MLS (last updated Sat 04/18/2026 12:01:15 AM EST) or Tennesse Virginia MLS (last updated Fri 04/17/2026 11:53:56 PM EST) or Emerald Coast MLS (last updated Fri 04/17/2026 11:55:32 PM EST) or Northeast Oklahoma Real Estate (last updated Fri 04/17/2026 11:23:53 PM EST) or Southern Kentucky MLS (last updated Fri 04/17/2026 9:54:34 PM EST) or SOMO MLS (last updated Fri 04/17/2026 11:57:05 PM EST) or North Georgia MLS (last updated Fri 04/17/2026 10:47:26 PM EST) or Golden Triangle MLS (last updated Fri 04/17/2026 11:58:09 PM EST) or MLS United (last updated Fri 04/17/2026 11:56:13 PM EST) or Lakeway MLS (last updated Sat 04/18/2026 12:01:57 AM EST) or Batesville MLS (last updated Sat 04/18/2026 12:00:03 AM EST) or North Central Mississippi MLS (last updated Fri 04/17/2026 9:32:30 PM EST) or Hot Springs MLS (last updated Fri 04/17/2026 8:27:46 PM EST) or Huntsville/Valley MLS (last updated Fri 04/17/2026 10:58:20 PM EST) or Shoals MLS (last updated Fri 04/17/2026 8:31:55 PM EST) or Tupelo MLS (last updated Fri 04/17/2026 11:42:37 PM EST) or NEAKBOR MLS (last updated Fri 04/17/2026 11:10:25 PM EST) or EAKBOR MLS (last updated Fri 04/17/2026 11:53:06 PM EST) or CWTAR MLS (last updated Fri 04/17/2026 9:11:56 PM EST) or NWAKBOR MLS (last updated Fri 04/17/2026 11:59:18 PM EST) or Upper Cumberland MLS (last updated Fri 04/17/2026 11:59:38 PM EST) or Hattiesburg MLS (last updated Fri 04/17/2026 10:59:20 PM EST) or Puerto Rico MLS (last updated Fri 04/17/2026 11:55:11 PM EST). Real estate listings held by brokerage firms other than Crye-Leike Real Estate Services may be marked with the Internet Data Exchange logo and detailed information about those properties will include the name of the listing broker(s) when required by the MLS. All rights reserved.
Privacy Policy / DMCA Notice / ADA Accessibility

Login to My Homefinder

Pixel